Vos plantes attirent les moucherons à cause de trois éléments : l’humidité excessive du terreau, la chaleur constante de votre intérieur et la présence de débris organiques. Ces petits insectes noirs, nommés sciarides, recherchent ces conditions pour se reproduire. Beaucoup de jardiniers amateurs rencontrent ce souci, mais il existe des solutions simples et naturelles. Comprendre les raisons de leur présence vous aidera à réagir efficacement.
| Critère | Sciarides (plantes) | Drosophiles (cuisine) |
|---|---|---|
| Silhouette | Élancée | Trapue |
| Taille | 2 à 4 mm | 2 à 4 mm |
| Couleur | Noire | Claire (beige, orangé) |
| Yeux | Foncés | Rouges |
| Habitat | Autour des pots et du substrat | Cuisine, corbeille à fruits |
| Attirance | Substrat humide | Fruits mûrs, déchets |
🌱 L’essentiel à retenir
Humidité + chaleur = invasion de sciarides
Ces moucherons noirs sont-ils tous les mêmes ?
Identifier correctement les insectes qui envahissent vos pots vous évite de perdre du temps avec des méthodes inadaptées. Tous les petits moucherons volants ne se ressemblent pas.
Les sciarides, insectes du substrat
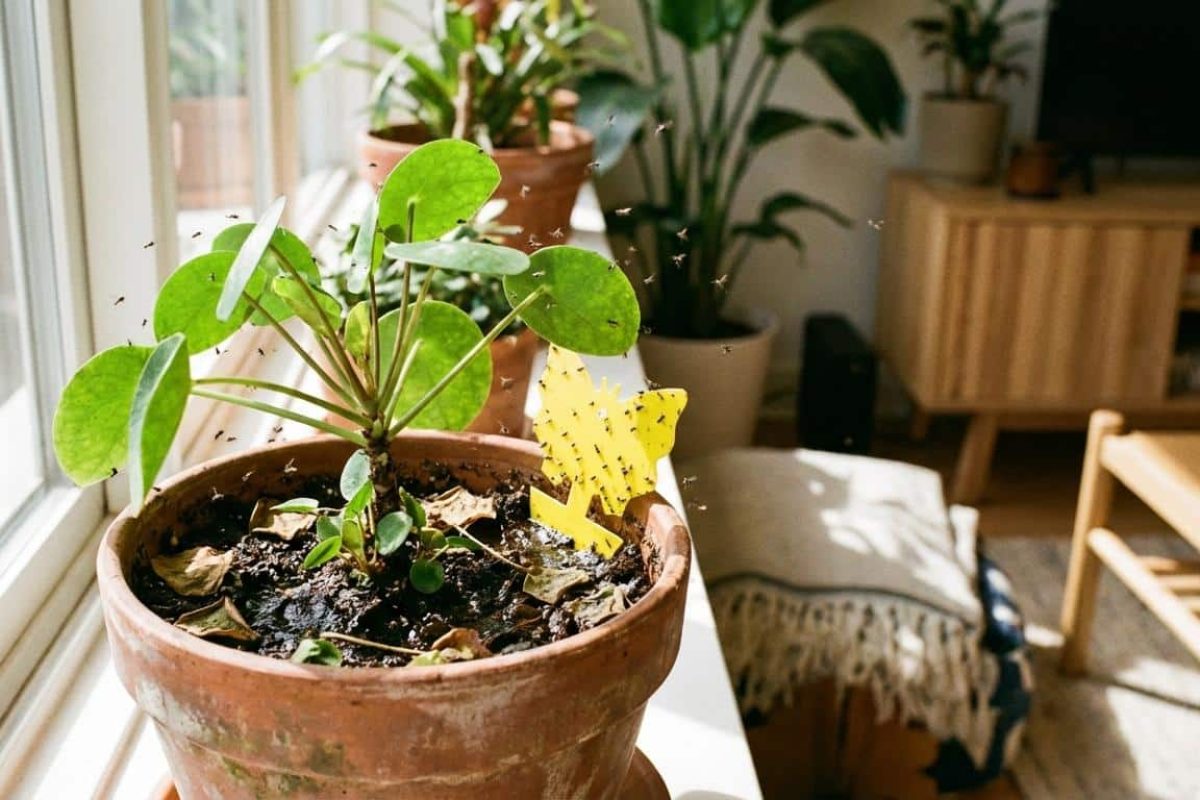
Les sciarides, parfois nommés mouches du substrat, mesurent 2 à 4 mm. Leur corps entièrement noir et leurs pattes longues et fines les rendent faciles à identifier. Ils volent lentement et s’envolent immédiatement quand vous touchez le pot ou arrosez.
Une femelle pond entre 50 et 300 œufs pendant sa courte vie de quelques jours. Ces œufs blanc jaunâtre, déposés par groupes en surface, éclosent en 48 heures. Les larves vivent ensuite 3 à 4 semaines dans les premiers centimètres du sol. Elles sont translucides avec une tête noire caractéristique.
Comment différencier les drosophiles
Les drosophiles, ou mouches à fruits, ont un corps trapu et une teinte beige orangé. Leurs yeux rouges les distinguent immédiatement. Contrairement aux sciarides qui cherchent le substrat mouillé, elles gravitent autour des corbeilles de fruits, poubelles et restes alimentaires.
Cette différence compte car les traitements varient. Si de petits insectes noirs s’envolent près de vos pots quand vous les touchez, il s’agit bien de sciarides.
Qu’est-ce qui attire les moucherons dans vos plantes ?
Ces insectes ne colonisent pas vos végétaux au hasard. Ils repèrent des conditions précises qui garantissent leur reproduction.
L’humidité, la température et les déchets organiques
Le substrat constamment humide constitue le premier facteur d’attraction. Les femelles ne pondent que dans un sol mouillé en permanence. Un arrosage trop généreux crée donc l’environnement idéal. L’eau qui stagne dans les coupelles maintient la surface humide sans répit.
La température ambiante joue aussi son rôle. Entre 18 et 24°C, température habituelle de nos logements, ces insectes se reproduisent toute l’année. Dehors, les cycles se limitent aux beaux jours, mais à l’intérieur, rien ne les freine.
Les débris végétaux qui traînent dans les pots nourrissent les jeunes larves. Feuilles mortes, bouts de tiges ou compost mal décomposé leur offrent un festin avant qu’elles ne s’attaquent aux racines.
Les végétaux les plus vulnérables
Certaines espèces attirent davantage ces insectes à cause de leurs besoins en eau.
Les plantes tropicales comme les philodendrons, fougères et orchidées demandent une forte humidité pour survivre. Cette condition permanente crée un cadre parfait pour la ponte. Les herbes aromatiques (basilic, persil, menthe) nécessitent des apports fréquents et se trouvent souvent sur le rebord de fenêtre, zone à risque.
Les jeunes pousses, boutures et semis récents restent particulièrement exposés. Leur système racinaire fragile résiste mal aux attaques. D’autres espèces d’intérieur comme le poinsettia, l’azalée ou le cyclamen figurent parmi les cibles habituelles.
Les grandes plantes adultes en bon état supportent mieux l’invasion si vous réagissez vite. Leurs racines développées compensent les dommages.
Les larves représentent-elles un danger réel ?
Les adultes que vous voyez voler ne nuisent pas à vos végétaux. Ils dérangent juste visuellement. Les larves cachées dans le sol causent les vrais problèmes.
Elles se nourrissent des radicelles et racines fines dans les 3 premiers centimètres. En perforant les tissus, elles privent progressivement la plante d’eau et de nutriments. Ces blessures ouvrent la porte à des champignons comme le fusarium.
Les signes apparaissent peu à peu : feuilles qui jaunissent, flétrissement, croissance qui stagne. Dans les cas graves, surtout pour les jeunes plants, le végétal peut se dessécher brutalement si ses racines sont trop abîmées.
Les végétaux adultes robustes tolèrent mieux l’infestation. Les jeunes pousses et boutures risquent de ne pas y survivre. Agissez dès les premiers symptômes pour limiter les dégâts.
Comment éliminer et prévenir leur retour ?
Plusieurs méthodes naturelles permettent de vous débarrasser de ces insectes et d’éviter qu’ils ne reviennent.
Les nématodes Steinernema feltiae représentent le traitement le plus performant. Ces vers microscopiques parasitent et détruisent les larves sous terre. Achetez-les en jardinerie ou en ligne, puis diluez-les dans l’eau d’arrosage. Les résultats apparaissent en 1 à 3 semaines.
Les pièges collants jaunes capturent les adultes volants et réduisent leur nombre. Placez-les dans les pots ou juste à côté. Laissez sécher la surface du sol entre deux apports pour supprimer les conditions favorables à la ponte.
Pour la prévention, adaptez votre rythme d’arrosage. Arrosez uniquement quand les premiers centimètres sont secs au toucher. Améliorez le drainage en ajoutant des billes d’argile au fond ou de la perlite dans le mélange.
Retirez toujours les feuilles mortes et débris végétaux. Isolez les nouvelles acquisitions quelques semaines avant de les installer près des autres. Vous pouvez pailler la surface avec du sable ou de la pouzzolane pour bloquer la ponte.
Trois gestes prioritaires : réduire immédiatement les apports en eau, installer des pièges jaunes, commander des nématodes si l’invasion est importante. Ce problème se règle avec de la constance.« `


